Un huracán trajo la marejada ciclónica más alta en los últimos 100 años en Florida.
VIDEO| Así se vivió la marejada ciclónica en Florida tras el paso del huracán Ian
El ciclón se debilitó de huracán a tormenta tropical en la tarde de este martes, y pasada la medianoche se espera que recobre fuerza para subir a huracán nuevamente
“Pamela” tocará tierra en Sinaloa como huracán categoría 1
El fenómeno meteorológico presentó vientos máximos de 150 kilómetros por hora, por lo que se mantenía como categoría 1, pero se intensificó sus vientos hasta llegar a la categoría 2
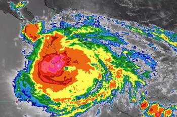
El ojo del huracán 'Olaf' toca tierra en Los Cabos, Baja California Sur; ya es categoría 2
Se exhorta a la población a atender los avisos del Servicio Meteorológico Nacional y seguir las indicaciones de las autoridades estatales, municipales y de Protección Civil
Huracán Olaf tocará tierra esta noche en Baja California Sur
Se suman 15 víctimas tras tocar tierra en Estados Unidos el fenómeno meteorológico
VIDEO: Nueva York sufre los estragos de Ida y ya son 15 muertos tras su paso
Las lluvias podrían provocar deslaves, incremento en los niveles de ríos, desbordamientos e inundaciones en zonas bajas, por lo que se exhorta a la población de la Península de Yucatán a atender los avisos que emita el Servicio Meteorológico Nacional







